Официальное опубликование правовых актов
ОФИЦИАЛЬНОЕ ОПУБЛИКОВАНИЕ
Приказ Инспекции государственной охраны объектов культурного наследия Оренбургской области от 04.05.2022 № 01-08-112
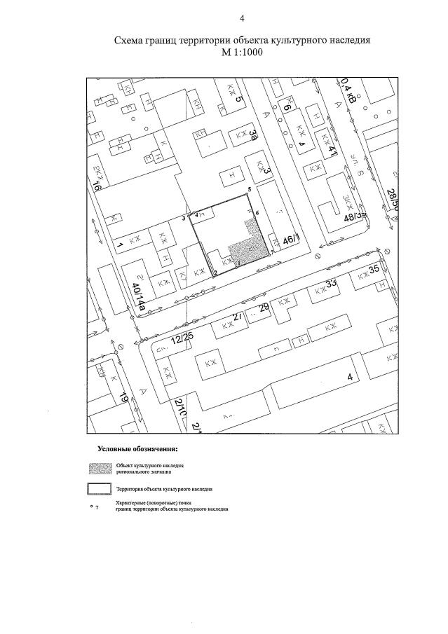
"Об утверждении границ территории объекта культурного наследия регионального значения (вид – памятник) "Жилой дом. "Кирпичный" стиль", конец XIX в., и режима использования данной территории"
Номер опубликования: 5601202205050012
Дата опубликования: 05.05.2022
Страница №4 из 7:
Увеличить