Официальное опубликование правовых актов
ОФИЦИАЛЬНОЕ ОПУБЛИКОВАНИЕ
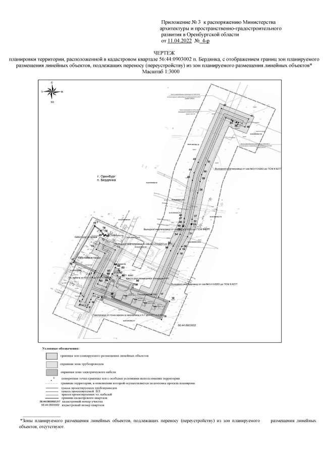
Распоряжение Министерства архитектуры и пространственно-градостроительного развития Оренбургской области от 11.04.2022 № 4-р
"Об утверждении документации по внесению изменений в проект планировки и проект межевания территории, расположенной в кадастровом квартале 56:44:0903002 п. Бердянка"
Номер опубликования: 5601202204120006
Дата опубликования: 12.04.2022
Страница №8 из 21:
Увеличить