Постановление Правительства Оренбургской области от 01.03.2023 № 182-пп
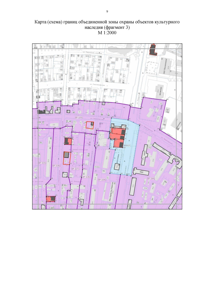
"Об установлении границ объединенной зоны охраны объектов культурного наследия (памятников истории и культуры) народов Российской Федерации, расположенных на территории муниципального образования город Оренбург, и утверждении требований к градостроительным регламентам"
"Об установлении границ объединенной зоны охраны объектов культурного наследия (памятников истории и культуры) народов Российской Федерации, расположенных на территории муниципального образования город Оренбург, и утверждении требований к градостроительным регламентам"
Номер опубликования: 5600202303070001
Дата опубликования:
07.03.2023
