Официальное опубликование правовых актов
ОФИЦИАЛЬНОЕ ОПУБЛИКОВАНИЕ
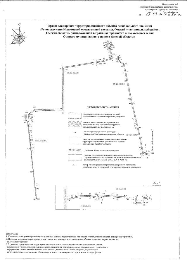
Приказ Министерства строительства, транспорта и дорожного хозяйства Омской области от 13.03.2020 № 34-п
"Об утверждении проекта планировки, проекта межевания территории линейного объекта регионального значения "Реконструкция Новоомской оросительной системы, Омский муниципальный район, Омская область"
Номер опубликования: 5501202003170007
Дата опубликования: 17.03.2020
Страница №21 из 22:
Увеличить