Официальное опубликование правовых актов
ОФИЦИАЛЬНОЕ ОПУБЛИКОВАНИЕ
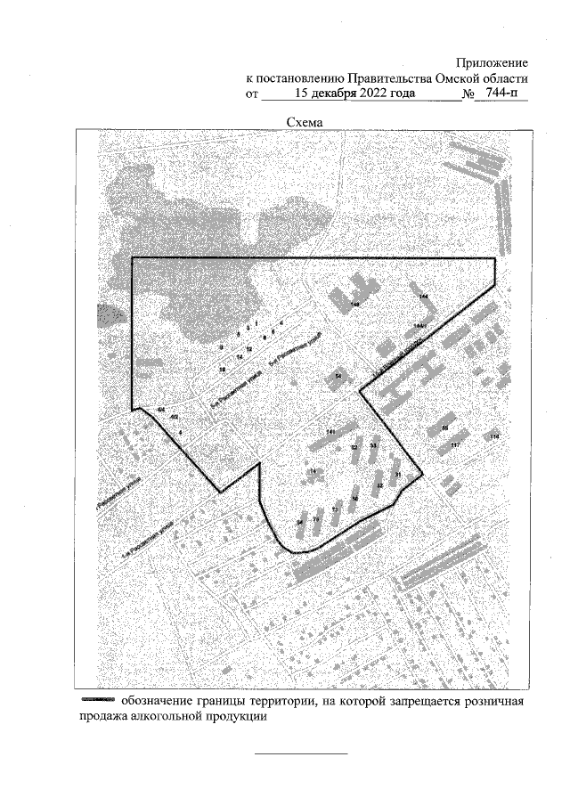
Постановление Правительства Омской области от 15.12.2022 № 744-п
"Об установлении дополнительных ограничений розничной продажи алкогольной продукции на территории Омской области"
Номер опубликования: 5500202212160027
Дата опубликования: 16.12.2022
Страница №3 из 3:
Увеличить