Официальное опубликование правовых актов
ОФИЦИАЛЬНОЕ ОПУБЛИКОВАНИЕ
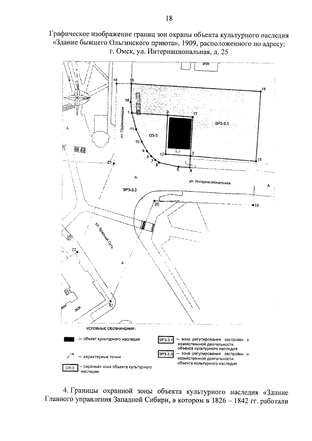
Постановление Правительства Омской области от 22.08.2018 № 249-п
"Об установлении зон охраны объектов культурного наследия (памятников истории и культуры) народов Российской Федерации регионального значения и утверждении требований к градостроительным регламентам в границах данных зон"
Номер опубликования: 5500201808230011
Дата опубликования: 23.08.2018
Страница №19 из 32:
Увеличить