Официальное опубликование правовых актов
ОФИЦИАЛЬНОЕ ОПУБЛИКОВАНИЕ
Постановление Правительства Новосибирской области от 23.05.2017 № 195-п
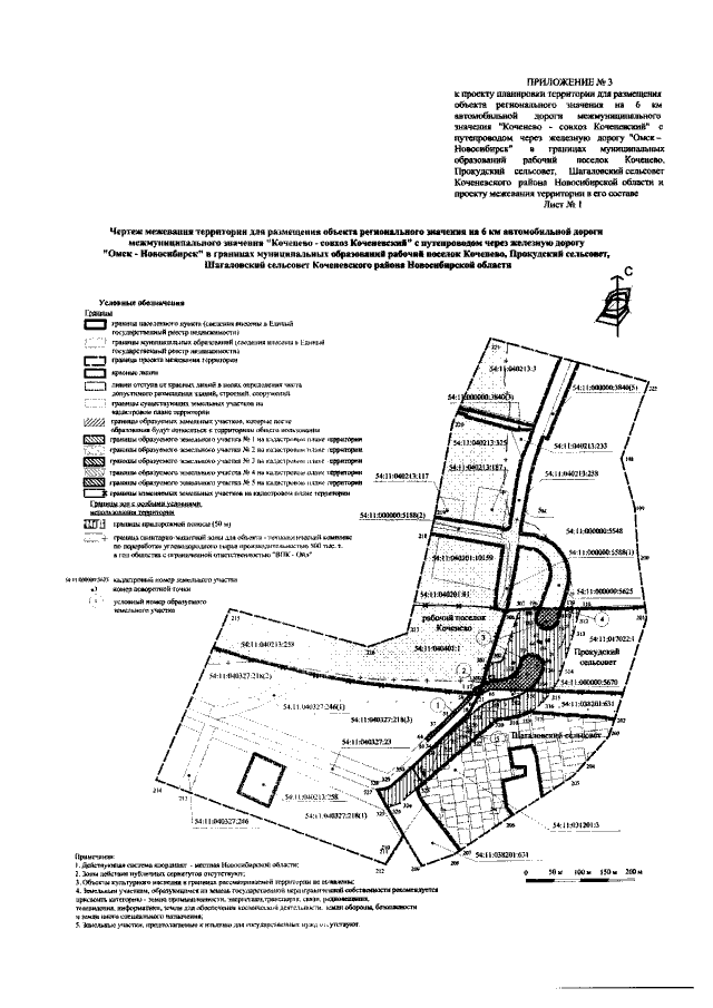
"Об утверждении проекта планировки территории для размещения объекта регионального значения на 6 км автомобильной дороги межмуниципального значения "Коченево – совхоз Коченевский" с путепроводом через железную дорогу "Омск – Новосибирск" в границах муниципальных образований рабочий поселок Коченево, Прокудский сельсовет, Шагаловский сельсовет Коченевского района Новосибирской области и проекта межевания территории в его составе"
Номер опубликования: 5400201705260005
Дата опубликования: 26.05.2017
Страница №30 из 34:
Увеличить