Официальное опубликование правовых актов
ОФИЦИАЛЬНОЕ ОПУБЛИКОВАНИЕ
Постановление Министерства строительства, архитектуры и территориального развития Новгородской области от 29.06.2020 № 2
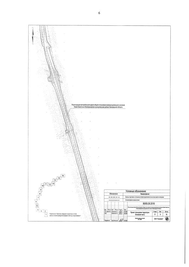
"Об утверждении документации по планировке территории объекта регионального значения "Реконструкция автомобильной дороги общего пользования межмуниципального значения Новая - Замостье в Маловишерском муниципальном районе Новгородской области"
Номер опубликования: 5301202007030001
Дата опубликования: 03.07.2020
Страница №7 из 126:
Увеличить