Официальное опубликование правовых актов
ОФИЦИАЛЬНОЕ ОПУБЛИКОВАНИЕ
Приказ Министерства градостроительной деятельности и развития агломераций Нижегородской области от 28.07.2025 № 07-02-03/64
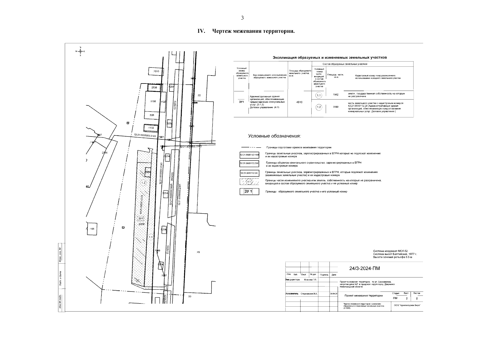
"Об утверждении проекта межевания территории по улице Самохвалова, напротив дома № 7 в городском округе город Дзержинск Нижегородской области"
(Зарегистрирован 14.08.2025 № 28556-330-007-02-03/64)
Номер опубликования: 5201202508150007
Дата опубликования: 15.08.2025
Страница №5 из 6:
Увеличить