Официальное опубликование правовых актов
ОФИЦИАЛЬНОЕ ОПУБЛИКОВАНИЕ
Приказ Министерства градостроительной деятельности и развития агломераций Нижегородской области от 12.03.2025 № 07-01-03/33
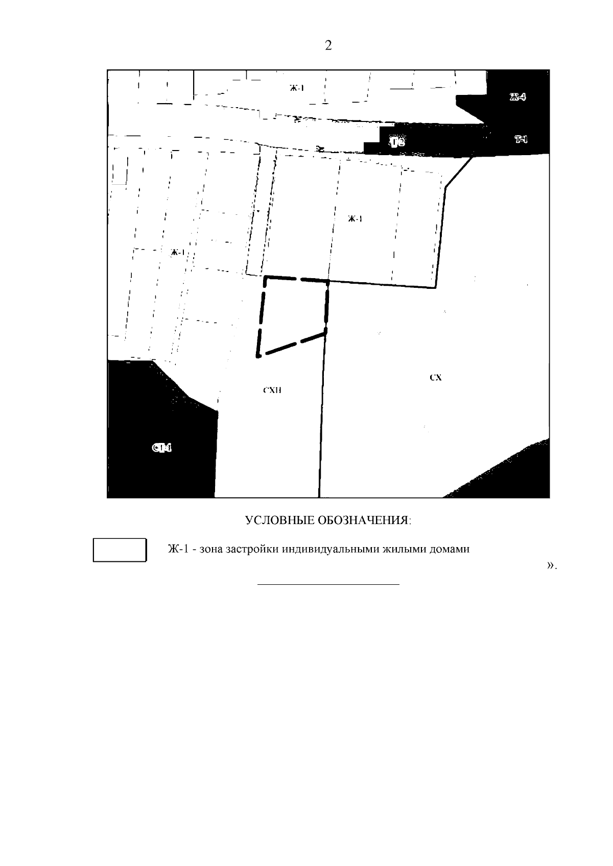
"Об утверждении изменений в Правила землепользования и застройки Кстовского муниципального округа Нижегородской области применительно к населенным пунктам, входящим в состав административно-территориального образования Афонинский сельсовет, входящего в состав Кстовского муниципального округа Нижегородской области, и территории Кстовского муниципального округа Нижегородской области за границами этих населенных пунктов, утвержденные приказом министерства градостроительной деятельности и развития агломераций Нижегородской области от 29 декабря 2022 г. № 07-01-03/154"
(Зарегистрирован 24.03.2025 № 27838-330-007-01-03/33)
Номер опубликования: 5201202503260002
Дата опубликования: 26.03.2025
Страница №5 из 5:
Увеличить