Официальное опубликование правовых актов
ОФИЦИАЛЬНОЕ ОПУБЛИКОВАНИЕ
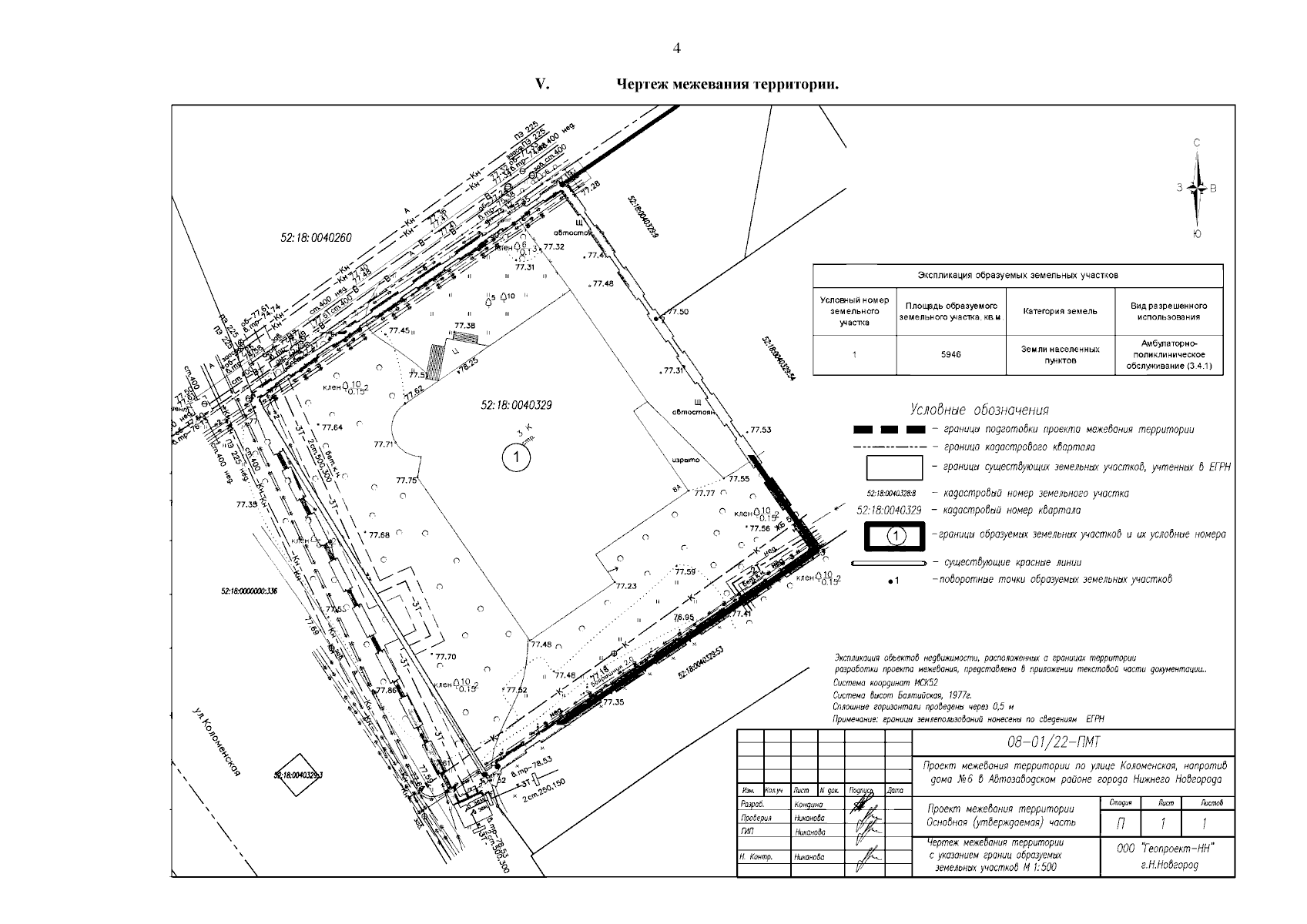
Приказ Министерства градостроительной деятельности и развития агломераций Нижегородской области от 17.02.2025 № 07-02-03/14
"Об утверждении проекта межевания территории по улице Коломенская, напротив дома № 6 в Автозаводском районе города Нижнего Новгорода"
(Зарегистрирован 12.03.2025 № 27777-330-007-02-03/14)
Номер опубликования: 5201202503140006
Дата опубликования: 14.03.2025
Страница №6 из 6:
Увеличить