Приказ Министерства градостроительной деятельности и развития агломераций Нижегородской области от 23.10.2024 № 07-02-03/88
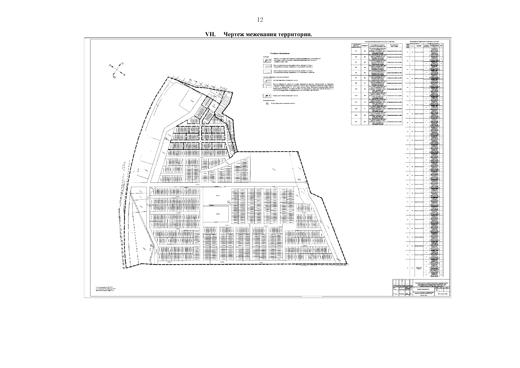
"Об утверждении документации по внесению изменений в документацию по планировке территории (проект планировки территории, включая проект межевания территории), расположенной в 950 м по направлению на юг от села Большая Ельня Кстовского муниципального округа Нижегородской области"
(Зарегистрирован 21.11.2024 № 26707-330-007-02-03/88)
"Об утверждении документации по внесению изменений в документацию по планировке территории (проект планировки территории, включая проект межевания территории), расположенной в 950 м по направлению на юг от села Большая Ельня Кстовского муниципального округа Нижегородской области"
(Зарегистрирован 21.11.2024 № 26707-330-007-02-03/88)
Номер опубликования: 5201202411220002
Дата опубликования:
22.11.2024
