Официальное опубликование правовых актов
ОФИЦИАЛЬНОЕ ОПУБЛИКОВАНИЕ
Приказ Министерства градостроительной деятельности и развития агломераций Нижегородской области от 11.10.2024 № 07-02-03/86
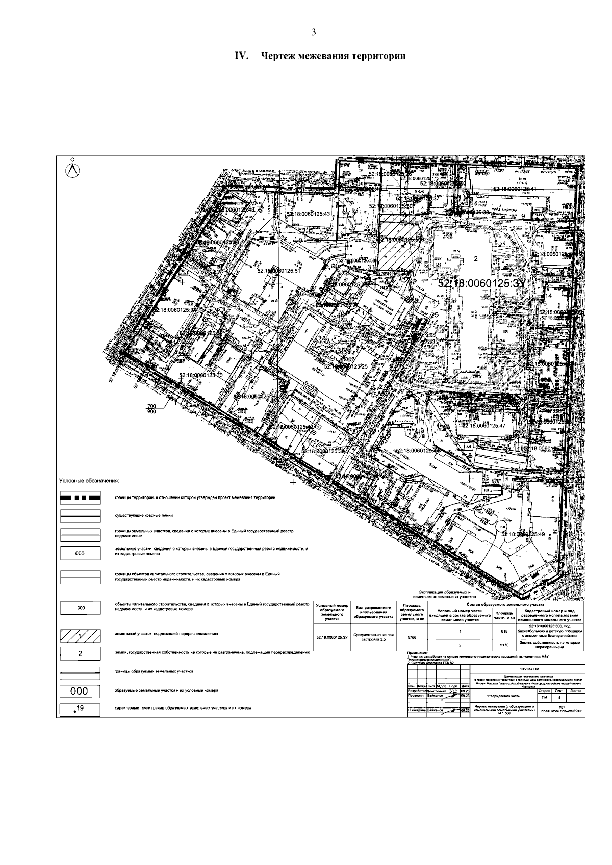
"Об утверждении документации по внесению изменений в проект межевания территории в границах улиц Белинского, Красносельская, Малая Ямская, Максима Горького, Ашхабадская в Нижегородском районе города Нижнего Новгорода"
(Зарегистрирован 11.11.2024 № 26610-330-007-02-03/86)
Номер опубликования: 5201202411130002
Дата опубликования: 13.11.2024
Страница №5 из 6:
Увеличить