Официальное опубликование правовых актов
ОФИЦИАЛЬНОЕ ОПУБЛИКОВАНИЕ
Приказ Министерства градостроительной деятельности и развития агломераций Нижегородской области от 08.10.2024 № 07-02-03/85
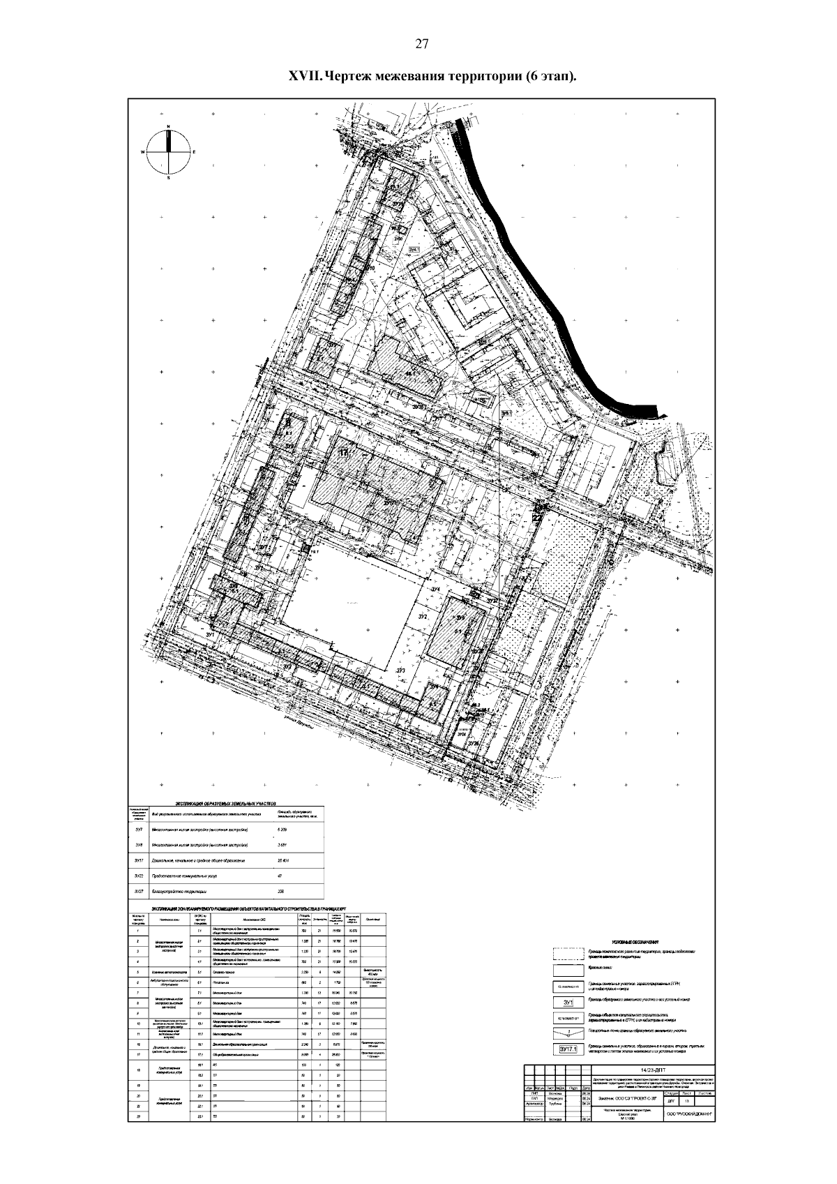
"Об утверждении документации по планировке территории (проекта планировки территории, включая проект межевания территории), расположенной в границах улиц Дружбы, Снежная, Энтузиастов и реки Ржавка в Ленинском районе Нижнего Новгорода"
(Зарегистрирован 11.11.2024 № 26609-330-007-02-03/85)
Номер опубликования: 5201202411130001
Дата опубликования: 13.11.2024
Страница №29 из 31:
Увеличить