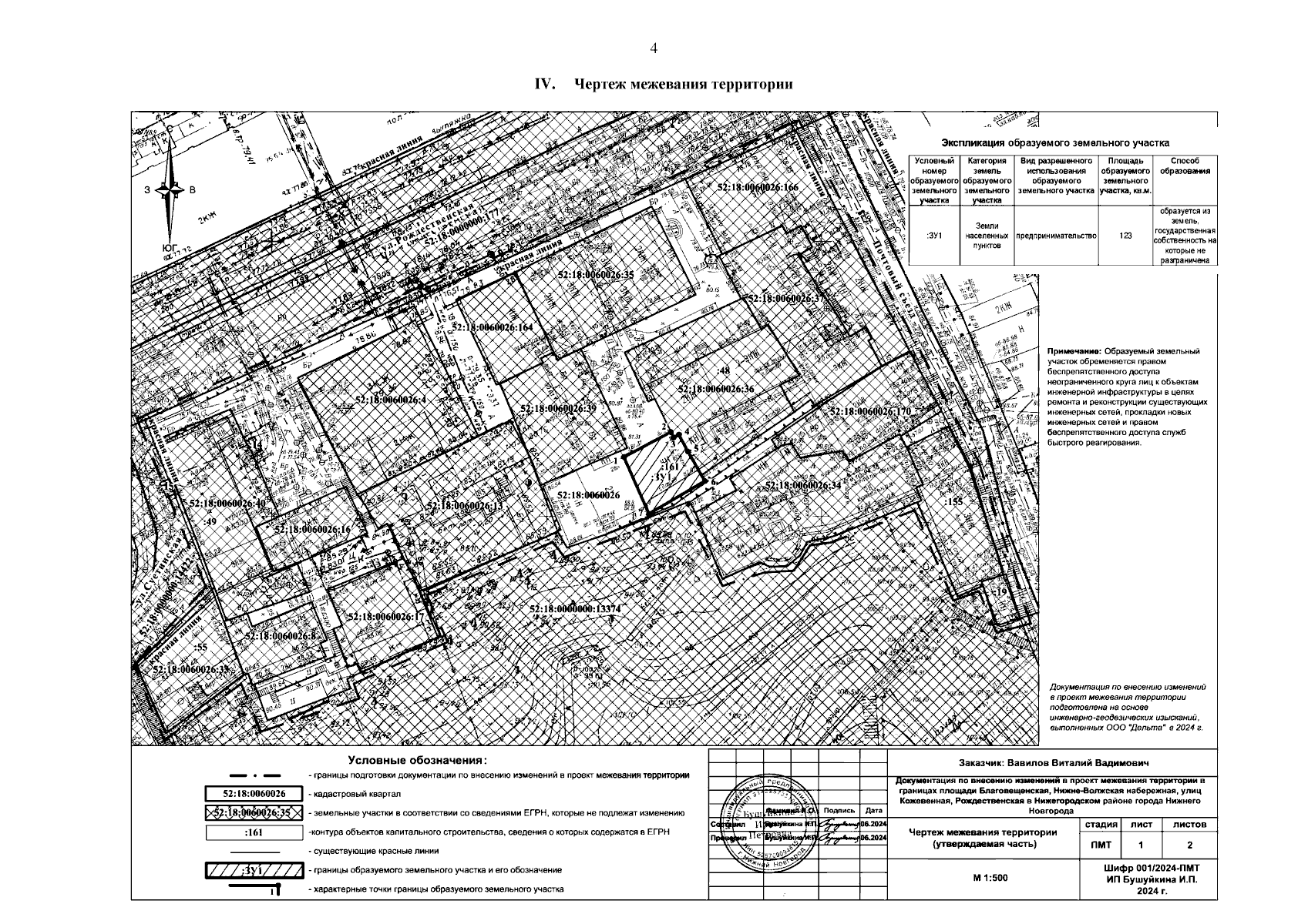
Приказ Министерства градостроительной деятельности и развития агломераций Нижегородской области от 25.09.2024 № 07-02-03/80
"Об утверждении документации по внесению изменений в проект межевания территории в границах площади Благовещенская, Нижне-Волжская набережная, улиц Кожевенная, Рождественская в Нижегородском районе города Нижнего Новгорода"
(Зарегистрирован 07.10.2024 № 26404-330-007-02-03/80)
"Об утверждении документации по внесению изменений в проект межевания территории в границах площади Благовещенская, Нижне-Волжская набережная, улиц Кожевенная, Рождественская в Нижегородском районе города Нижнего Новгорода"
(Зарегистрирован 07.10.2024 № 26404-330-007-02-03/80)
Номер опубликования: 5201202410090003
Дата опубликования:
09.10.2024
