Приказ Министерства градостроительной деятельности и развития агломераций Нижегородской области от 16.08.2024 № 07-02-03/68
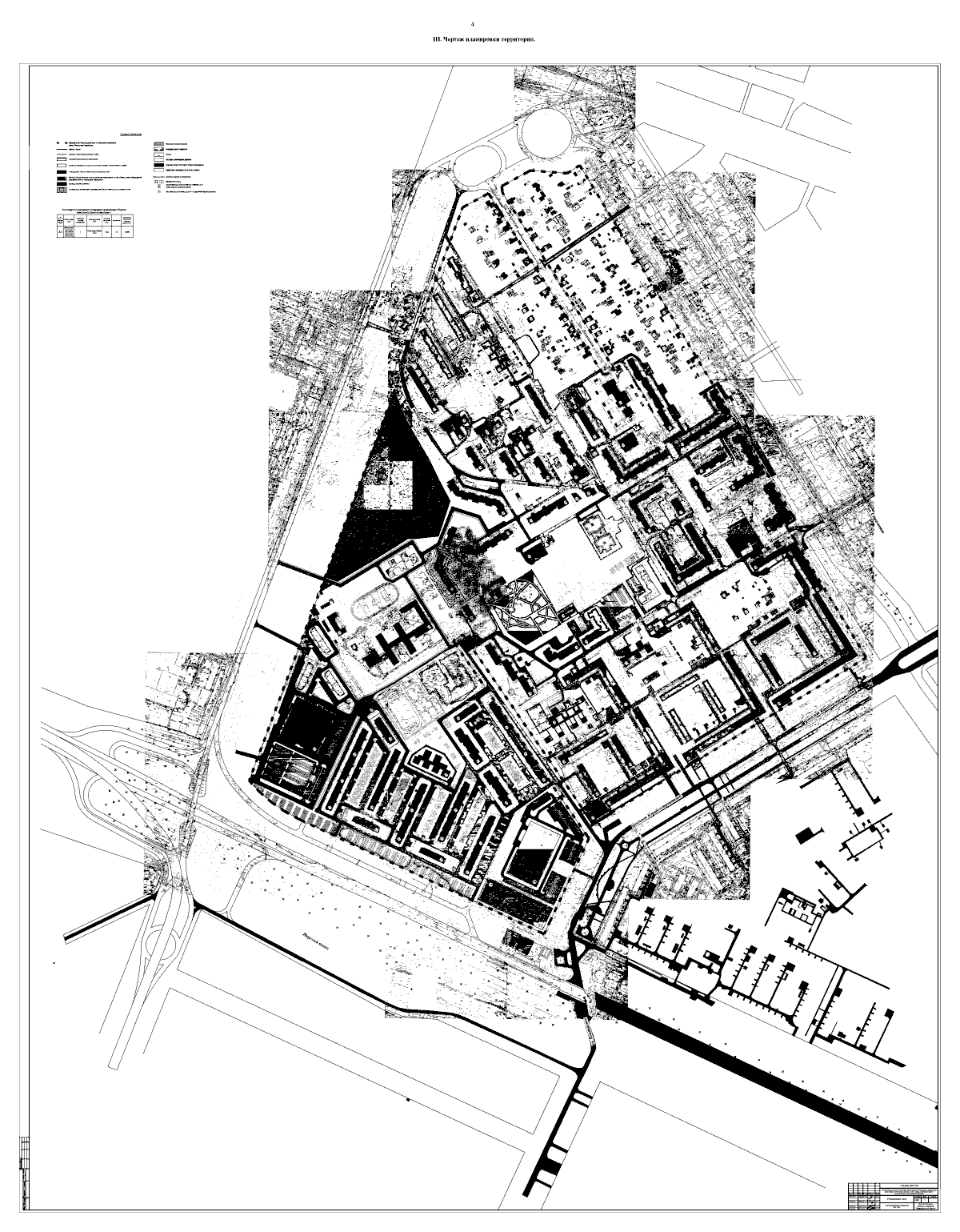
"Об утверждении документации по внесению изменений в проект планировки территории в границах улиц имени Зайцева, Новосельская, проспекта 70 лет Октября, Сормовского канала в Сормовском районе города Нижнего Новгорода"
(Зарегистрирован 19.09.2024 № 26347-330-007-02-03/68)
"Об утверждении документации по внесению изменений в проект планировки территории в границах улиц имени Зайцева, Новосельская, проспекта 70 лет Октября, Сормовского канала в Сормовском районе города Нижнего Новгорода"
(Зарегистрирован 19.09.2024 № 26347-330-007-02-03/68)
Номер опубликования: 5201202409250006
Дата опубликования:
25.09.2024
