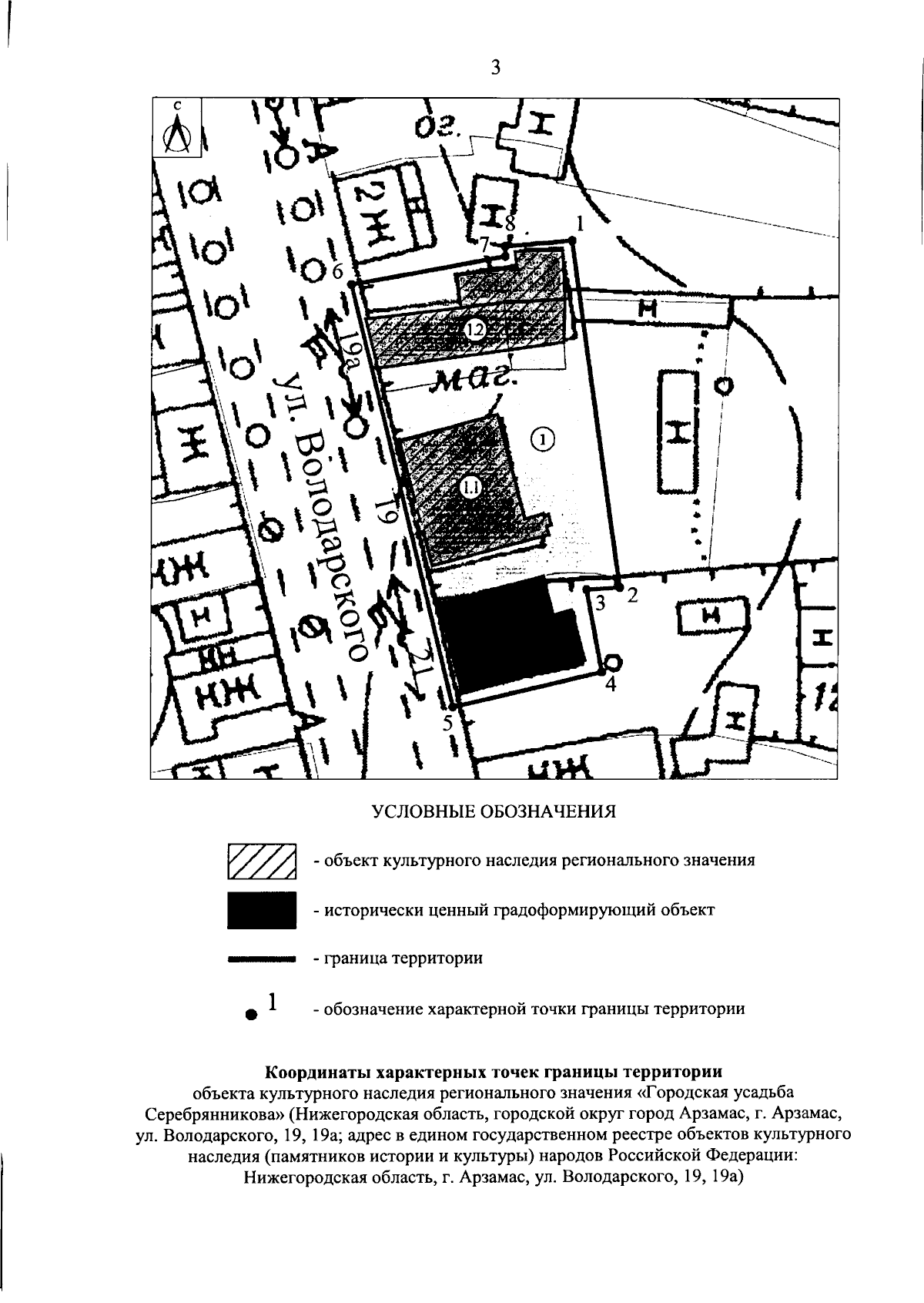
Приказ Управления государственной охраны объектов культурного наследия Нижегородской области от 21.08.2024 № 195
"Об утверждении границ и режима использования территорий объектов культурного наследия регионального значения, расположенных на ул. Володарского в г. Арзамасе городского округа город Арзамас Нижегородской области"
(Зарегистрирован 02.09.2024 № 26252-518-195)
"Об утверждении границ и режима использования территорий объектов культурного наследия регионального значения, расположенных на ул. Володарского в г. Арзамасе городского округа город Арзамас Нижегородской области"
(Зарегистрирован 02.09.2024 № 26252-518-195)
Номер опубликования: 5201202409050019
Дата опубликования:
05.09.2024
