Официальное опубликование правовых актов
ОФИЦИАЛЬНОЕ ОПУБЛИКОВАНИЕ
Приказ Министерства градостроительной деятельности и развития агломераций Нижегородской области от 03.06.2024 № 07-02-03/45
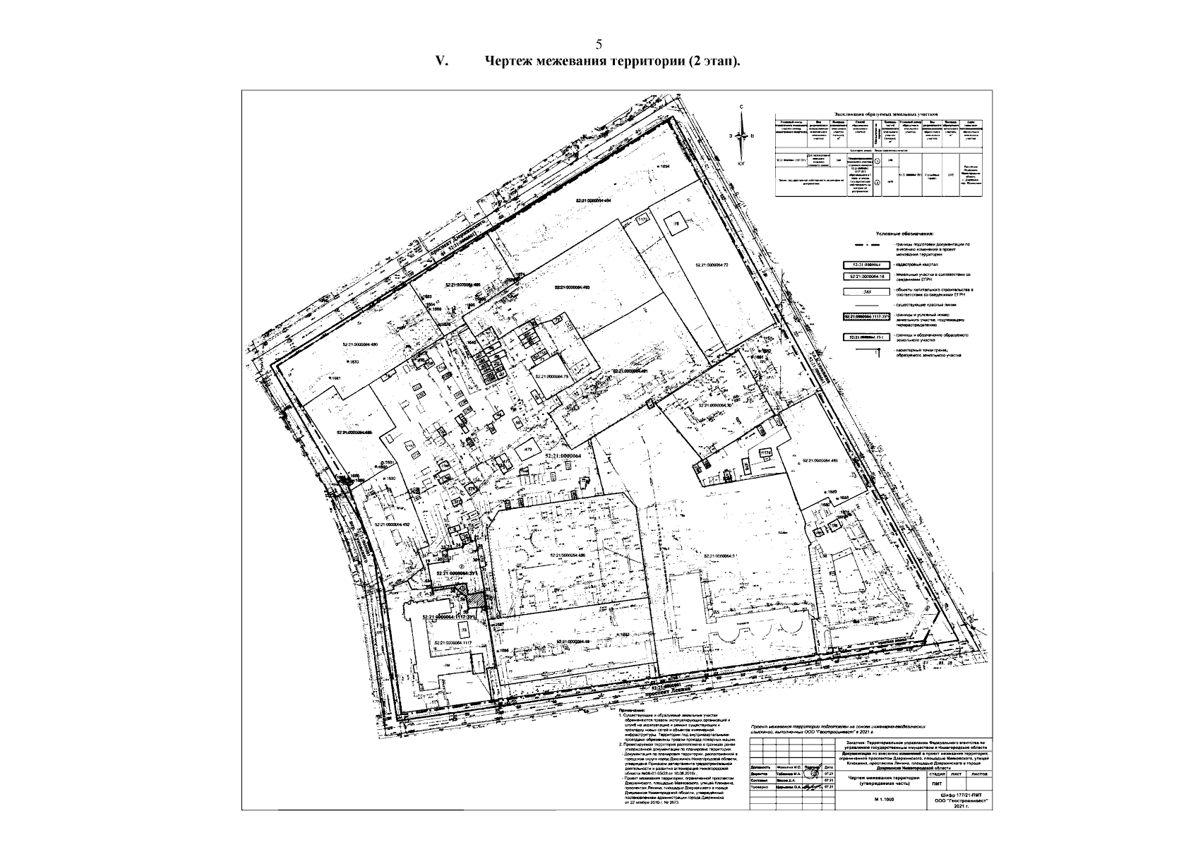
"Об утверждении документации по внесению изменений в проект межевания территории, ограниченной проспектом Дзержинского, площадью Маяковского, улицей Клюквина, проспектом Ленина, площадью Дзержинского в городе Дзержинске Нижегородской области"
(Зарегистрирован 27.06.2024 № 25781-330-007-02-03/45)
Номер опубликования: 5201202406280002
Дата опубликования: 28.06.2024
Страница №7 из 7:
Увеличить