Официальное опубликование правовых актов
ОФИЦИАЛЬНОЕ ОПУБЛИКОВАНИЕ
Приказ Министерства градостроительной деятельности и развития агломераций Нижегородской области от 08.04.2024 № 07-02-03/32
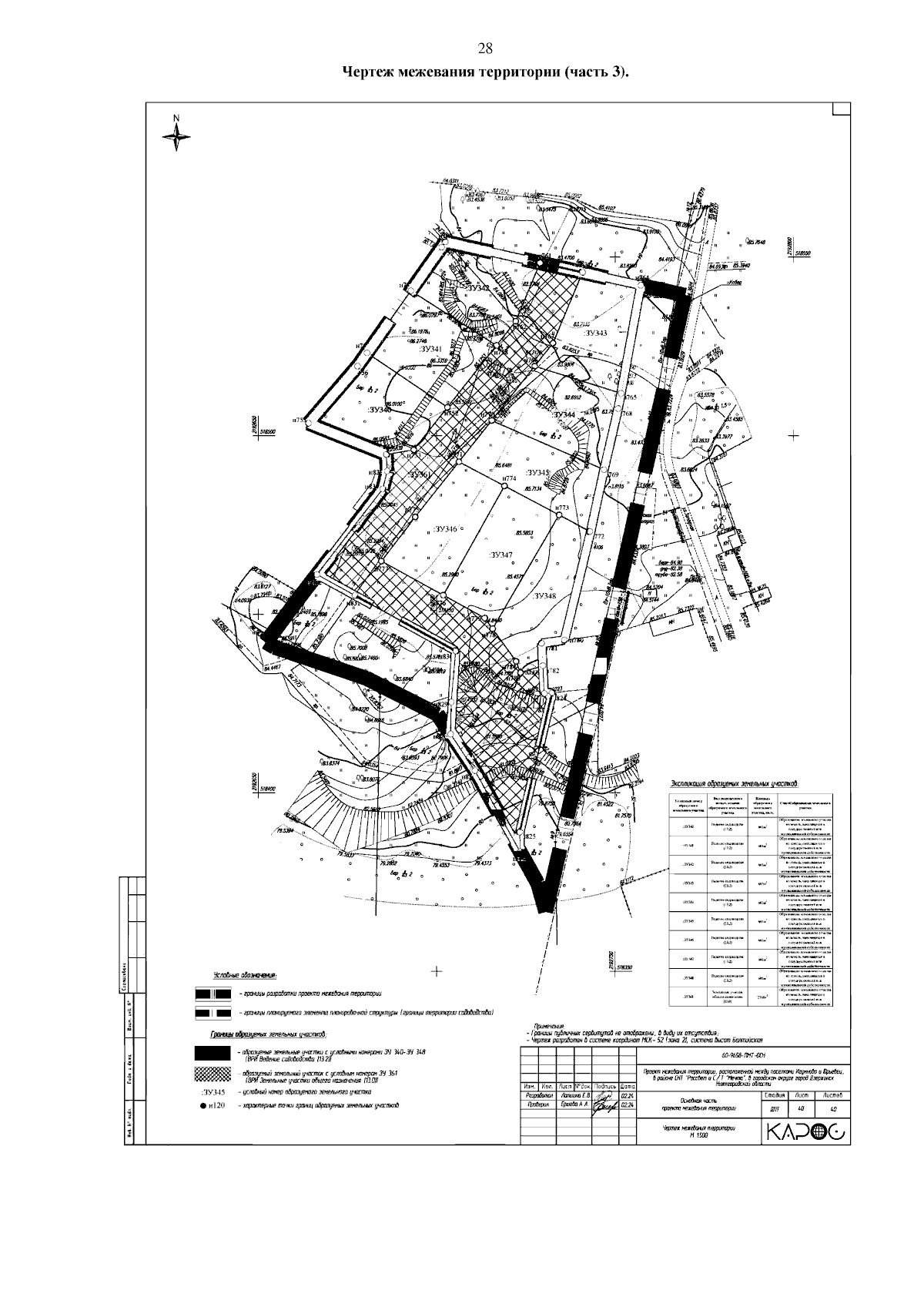
"Об утверждении проекта межевания территории, расположенной между поселками Игумново и Юрьевец, в районе СНТ "Рассвет" и С/Т "Мечта", в городском округе город Дзержинск Нижегородской области"
(Зарегистрирован 06.05.2024 № 25509-330-007-02-03/32)
Номер опубликования: 5201202405080003
Дата опубликования: 08.05.2024
Страница №30 из 30:
Увеличить