Официальное опубликование правовых актов
ОФИЦИАЛЬНОЕ ОПУБЛИКОВАНИЕ
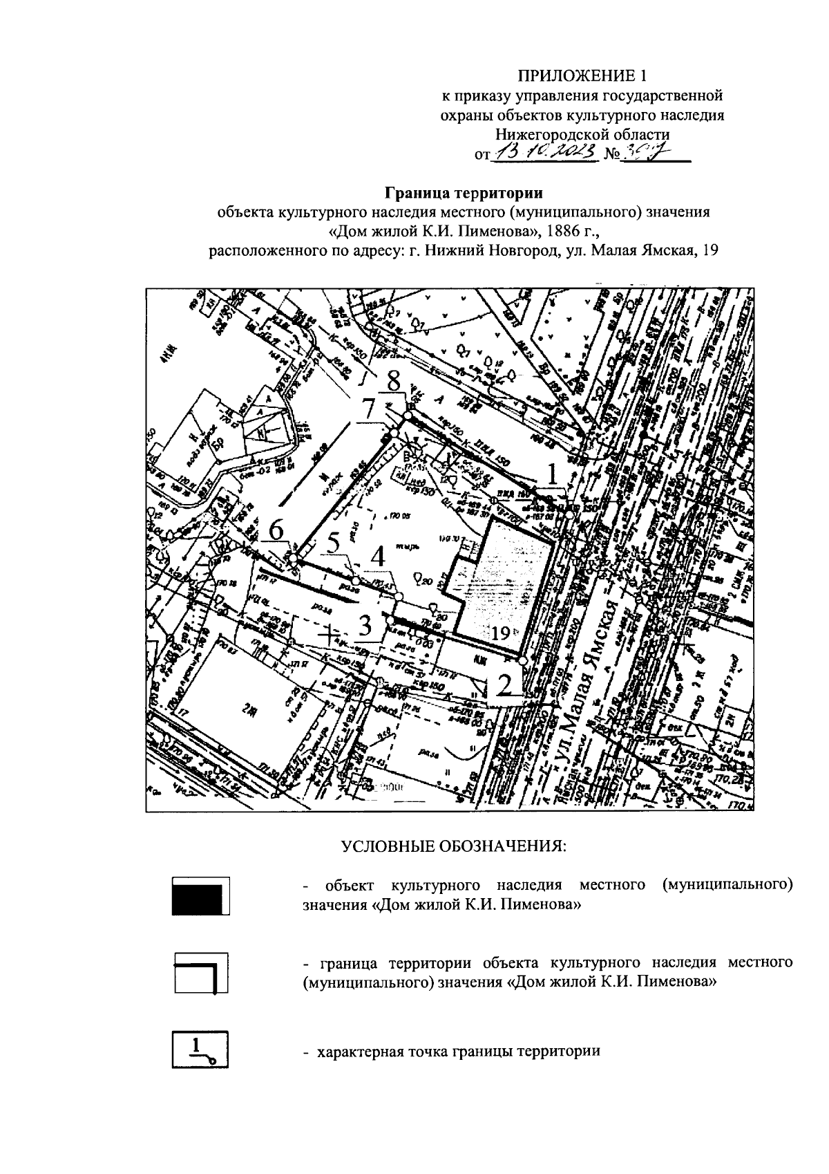
Приказ Управления государственной охраны объектов культурного наследия Нижегородской области от 13.10.2023 № 397
"О включении в единый государственный реестр объектов культурного наследия (памятников истории и культуры) народов Российской Федерации объекта культурного наследия местного (муниципального) значения "Дом жилой К.И. Пименова" (г. Нижний Новгород, ул. Малая Ямская, 19), утверждении границ и режима использования его территории"
(Зарегистрирован 07.11.2023 № 23974-518-397)
Номер опубликования: 5201202311090003
Дата опубликования: 09.11.2023
Страница №3 из 6:
Увеличить