Официальное опубликование правовых актов
ОФИЦИАЛЬНОЕ ОПУБЛИКОВАНИЕ
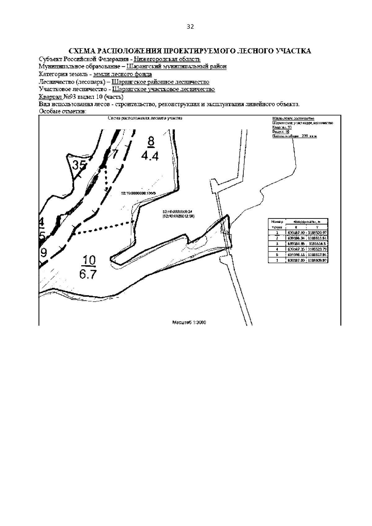
Приказ Министерства градостроительной деятельности и развития агломераций Нижегородской области от 04.10.2023 № 06-01-03/33
"Об утверждении документации по планировке территории, расположенной в границах Тонкинского муниципального округа, Шарангского муниципального округа Нижегородской области"
(Зарегистрирован 16.10.2023 № 23814-330-006-01-03/33)
Номер опубликования: 5201202310190005
Дата опубликования: 19.10.2023
Страница №34 из 42:
Увеличить