Приказ Министерства градостроительной деятельности и развития агломераций Нижегородской области от 11.07.2023 № 07-02-03/72
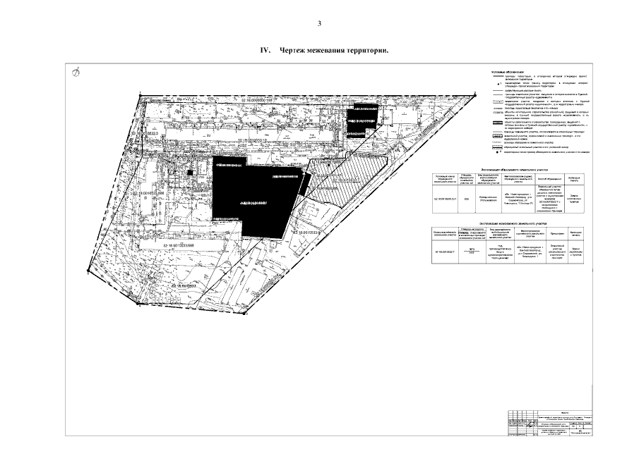
"Об утверждении проекта межевания территории в границах улиц Федосеенко, Командина в Сормовском районе города Нижнего Новгорода"
(Зарегистрирован 24.07.2023 № 23422-330-007-02-03/72)
"Об утверждении проекта межевания территории в границах улиц Федосеенко, Командина в Сормовском районе города Нижнего Новгорода"
(Зарегистрирован 24.07.2023 № 23422-330-007-02-03/72)
Номер опубликования: 5201202307270002
Дата опубликования:
27.07.2023
