Официальное опубликование правовых актов
ОФИЦИАЛЬНОЕ ОПУБЛИКОВАНИЕ
Приказ Министерства градостроительной деятельности и развития агломераций Нижегородской области от 14.06.2023 № 07-02-03/60
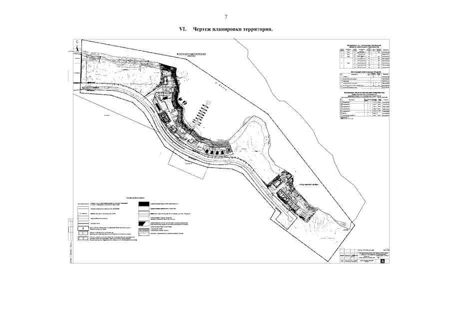
"Об утверждении документации по внесению изменений в проект планировки и межевания территории в границах улиц Родионова, Казанский съезд, Лысогорская, включая полуостров Печерские пески, в Нижегородском районе города Нижнего Новгорода"
(Зарегистрирован 06.07.2023 № 23312-330-007-02-03/60)
Номер опубликования: 5201202307070004
Дата опубликования: 07.07.2023
Страница №9 из 10:
Увеличить