Приказ Министерства градостроительной деятельности и развития агломераций Нижегородской области от 07.03.2023 № 07-02-03/23
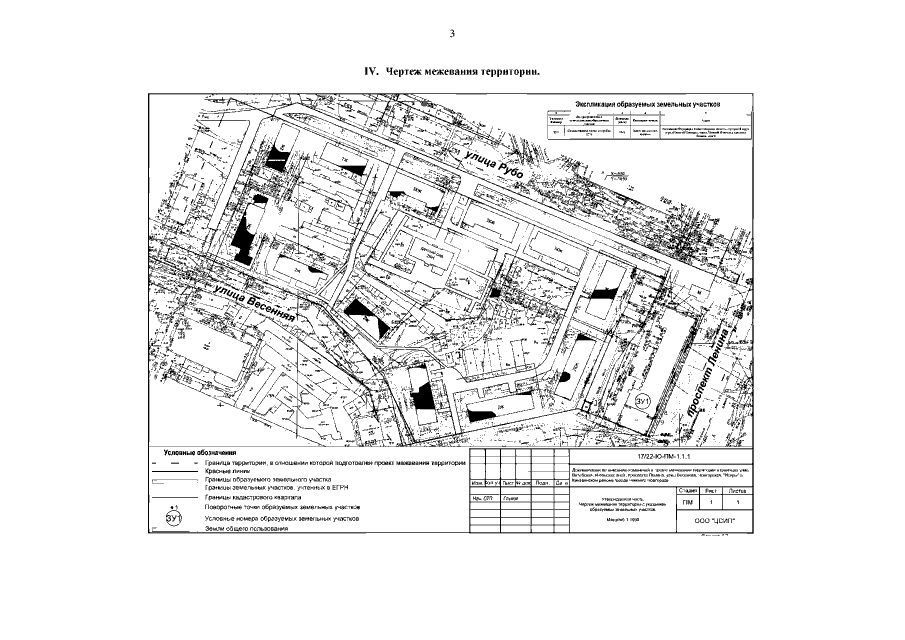
"Об утверждении документации по внесению изменений в проект межевания территории в границах улиц Витебская, Июльских дней, проспекта Ленина, улиц Весенняя, Чонгарская, "Искры" в Канавинском районе города Нижнего Новгорода"
(Зарегистрирован 27.03.2023 № 22760-330-007-02-03/23)
"Об утверждении документации по внесению изменений в проект межевания территории в границах улиц Витебская, Июльских дней, проспекта Ленина, улиц Весенняя, Чонгарская, "Искры" в Канавинском районе города Нижнего Новгорода"
(Зарегистрирован 27.03.2023 № 22760-330-007-02-03/23)
Номер опубликования: 5201202303290009
Дата опубликования:
29.03.2023
