Официальное опубликование правовых актов
ОФИЦИАЛЬНОЕ ОПУБЛИКОВАНИЕ
Приказ Министерства градостроительной деятельности и развития агломераций Нижегородской области от 28.12.2022 № 07-02-03/148
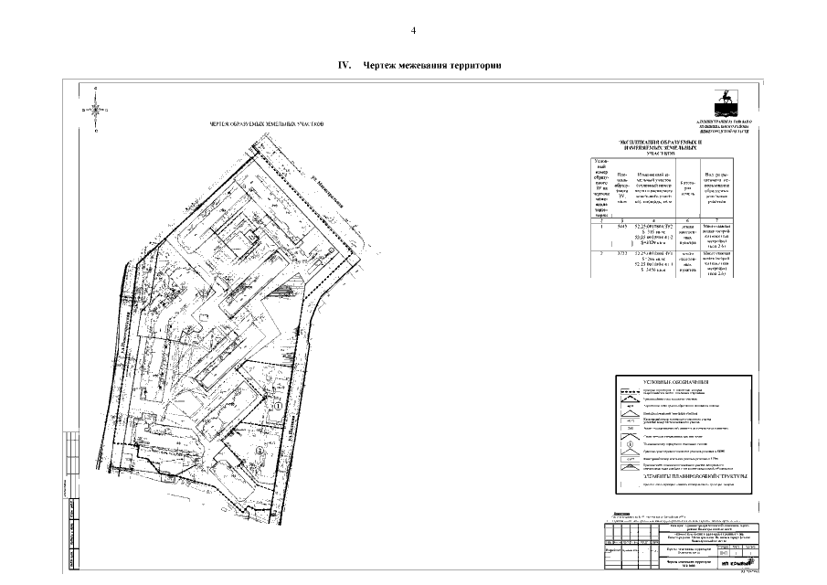
"Об утверждении проекта межевания территории в границах улиц Нижегородская, Магистральная, Полевая в городе Кстово Нижегородской области"
(Зарегистрирован 25.01.2023 № 22436-330-007-02-03/148)
Номер опубликования: 5201202301270017
Дата опубликования: 27.01.2023
Страница №6 из 6:
Увеличить