Официальное опубликование правовых актов
ОФИЦИАЛЬНОЕ ОПУБЛИКОВАНИЕ
Приказ Министерства градостроительной деятельности и развития агломераций Нижегородской области от 26.12.2022 № 07-02-03/134
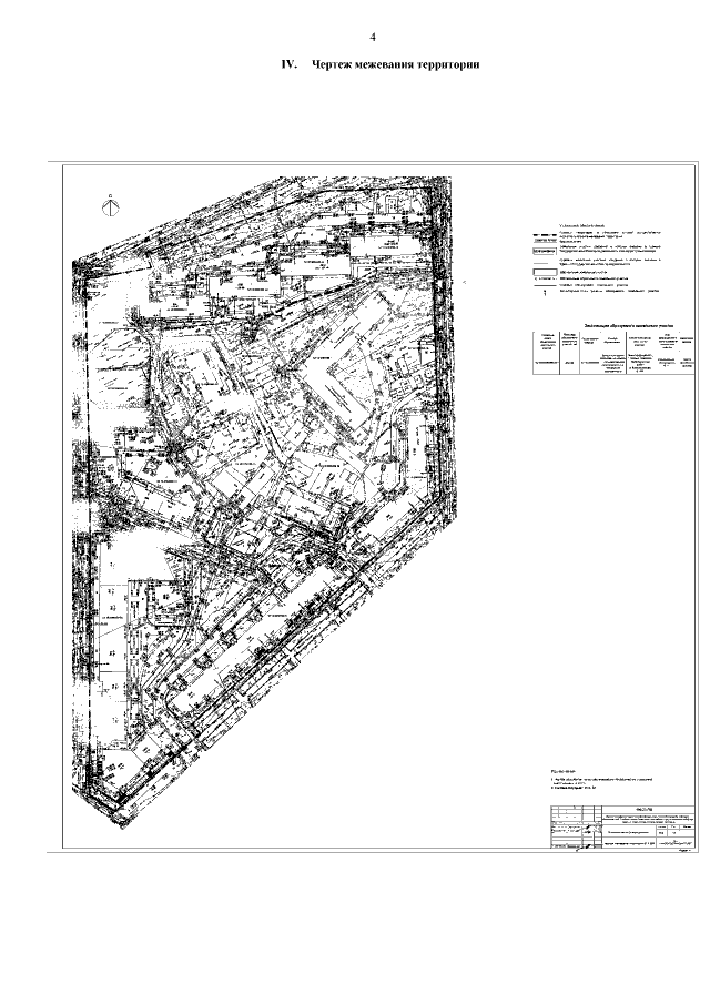
"Об утверждении проекта межевания территории в границах улиц Максима Горького, Семашко, Ковалихинская, Провиантская в Нижегородском районе города Нижнего Новгорода"
(Зарегистрирован 25.01.2023 № 22422-330-007-02-03/134)
Номер опубликования: 5201202301270007
Дата опубликования: 27.01.2023
Страница №6 из 6:
Увеличить