Официальное опубликование правовых актов
ОФИЦИАЛЬНОЕ ОПУБЛИКОВАНИЕ
Приказ Министерства градостроительной деятельности и развития агломераций Нижегородской области от 19.12.2022 № 07-02-03/128
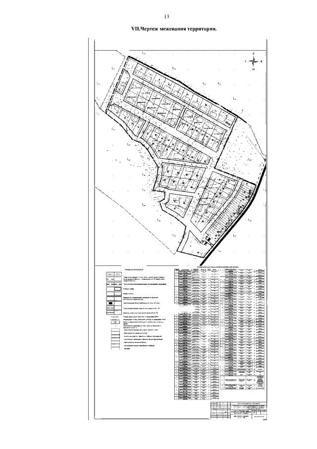
"Об утверждении документации по планировке территории (проекта планировки территории, включая проект межевания территории), расположенной в юго-западной части села Шава Запрудновского сельсовета Кстовского муниципального округа Нижегородской области"
(Зарегистрирован 23.01.2023 № 22414-330-007-02-03/128)
Номер опубликования: 5201202301250010
Дата опубликования: 25.01.2023
Страница №15 из 16:
Увеличить