Официальное опубликование правовых актов
ОФИЦИАЛЬНОЕ ОПУБЛИКОВАНИЕ
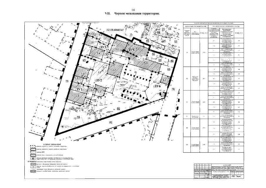
Приказ Министерства градостроительной деятельности и развития агломераций Нижегородской области от 13.12.2022 № 07-02-03/124 "Об утверждении проекта планировки территории в границах улиц Малая Ямская, Максима Горького, Ильинская, Маслякова и проекта межевания территории в границах улиц Малая Ямская, Максима Горького, Ильинская в Нижегородском районе города Нижнего Новгорода"
(Зарегистрирован 10.01.2023 № 22277-330-007-02-03/124)
Номер опубликования: 5201202301120007
Дата опубликования: 12.01.2023
Страница №16 из 17:
Увеличить