Официальное опубликование правовых актов
ОФИЦИАЛЬНОЕ ОПУБЛИКОВАНИЕ
Приказ Министерства градостроительной деятельности и развития агломераций Нижегородской области от 29.11.2022 № 07-02-03/119
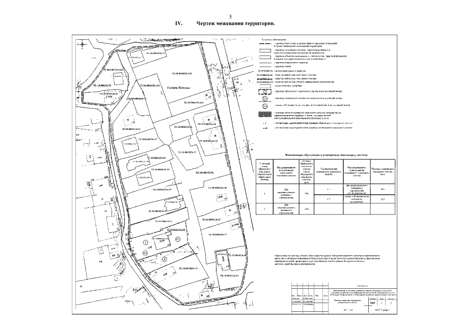
"Об утверждении документации по внесению изменений в проект планировки и межевания территории в границах улиц Родионова, Казанский съезд, Лысогорская, включая полуостров Печёрские пески, в Нижегородском районе города Нижнего Новгорода"
(Зарегистрирован 20.12.2022 № 22195-330-007-02-03/119)
Номер опубликования: 5201202212230004
Дата опубликования: 23.12.2022
Страница №7 из 8:
Увеличить