Официальное опубликование правовых актов
ОФИЦИАЛЬНОЕ ОПУБЛИКОВАНИЕ
Приказ Министерства градостроительной деятельности и развития агломераций Нижегородской области от 18.05.2022 № 06-01-03/18
"О внесении изменений в приказ министерства градостроительной деятельности и развития агломераций Нижегородской области от 17 августа 2021 г. № 06-01-03/37"
(Зарегистрирован 10.06.2022 № 20305-330-006-01-03/18)
Номер опубликования: 5201202206140001
Дата опубликования: 14.06.2022
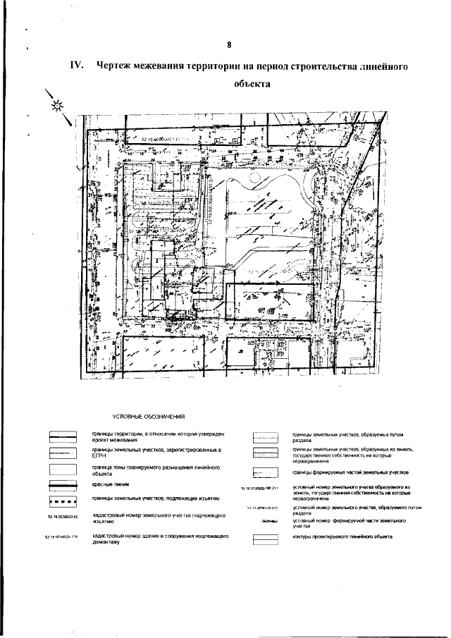
Страница №10 из 18:
Увеличить