Официальное опубликование правовых актов
ОФИЦИАЛЬНОЕ ОПУБЛИКОВАНИЕ
Приказ Министерства градостроительной деятельности и развития агломераций Нижегородской области от 29.03.2022 № 07-02-03/23
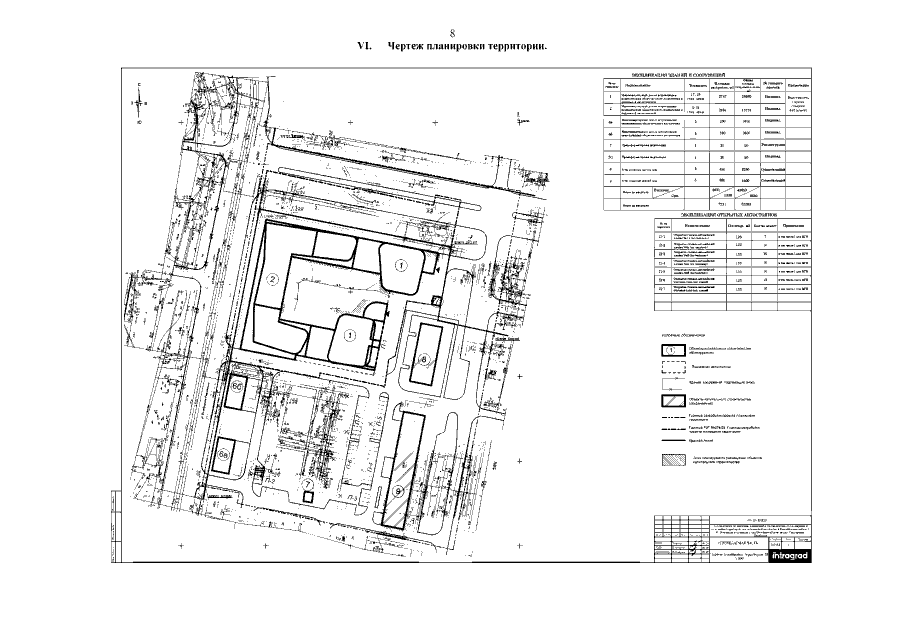
"Об утверждении документации по внесению изменений в проект планировки и межевания территории в границах улиц Октябрьской Революции, Григорьева, Витебская в Канавинском районе города Нижнего Новгорода"
(Зарегистрирован 21.04.2022 № 19835-330-007-02-03/23)
Номер опубликования: 5201202204250004
Дата опубликования: 25.04.2022
Страница №10 из 12:
Увеличить