Приказ Министерства градостроительной деятельности и развития агломераций Нижегородской области от 21.12.2021 № 07-02-03/115
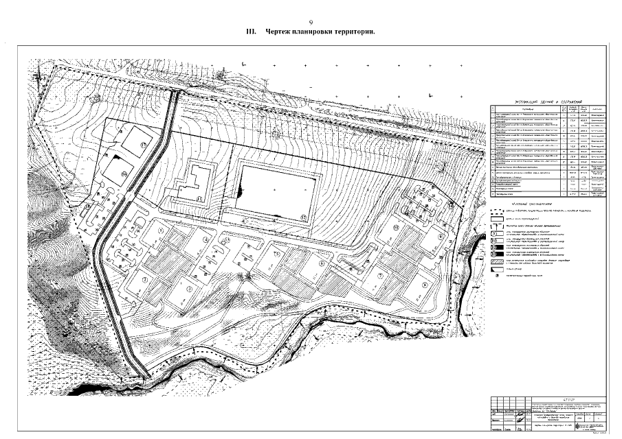
"Об утверждении документации по планировке территории (проекта планировки территории), расположенной в южной части деревни Утечино Афонинского сельсовета Кстовского района Нижегородской области"
(Зарегистрирован 18.01.2022 № 19101-330-007-02-03/115)
"Об утверждении документации по планировке территории (проекта планировки территории), расположенной в южной части деревни Утечино Афонинского сельсовета Кстовского района Нижегородской области"
(Зарегистрирован 18.01.2022 № 19101-330-007-02-03/115)
Номер опубликования: 5201202201190010
Дата опубликования:
19.01.2022
