Приказ Министерства градостроительной деятельности и развития агломераций Нижегородской области от 15.11.2021 № 07-02-03/95
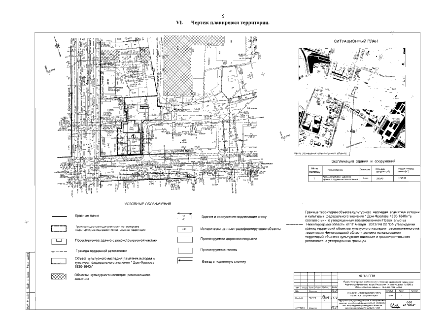
"Об утверждении документации по планировке территории (проекта планировки и межевания территории) по улице Ильинская (в районе дома № 98А) в Нижегородском районе города Нижнего Новгорода"
(Зарегистрирован 08.12.2021 № 18612-330-007-02-03/95)
"Об утверждении документации по планировке территории (проекта планировки и межевания территории) по улице Ильинская (в районе дома № 98А) в Нижегородском районе города Нижнего Новгорода"
(Зарегистрирован 08.12.2021 № 18612-330-007-02-03/95)
Номер опубликования: 5201202112080012
Дата опубликования:
08.12.2021
