Официальное опубликование правовых актов
ОФИЦИАЛЬНОЕ ОПУБЛИКОВАНИЕ
Приказ Министерства градостроительной деятельности и развития агломераций Нижегородской области от 11.11.2021 № 07-02-03/94
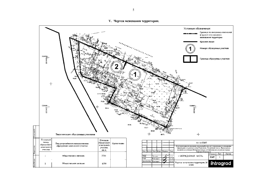
"Об утверждении документации по внесению изменений в проект планировки и межевания территории в границах улиц Родионова, Казанский съезд, Лысогорская, включая полуостров Печёрские пески, в Нижегородском районе города Нижнего Новгорода"
(Зарегистрирован 02.12.2021 № 18555-330-007-02-03/94)
Номер опубликования: 5201202112030006
Дата опубликования: 03.12.2021
Страница №7 из 7:
Увеличить