Официальное опубликование правовых актов
ОФИЦИАЛЬНОЕ ОПУБЛИКОВАНИЕ
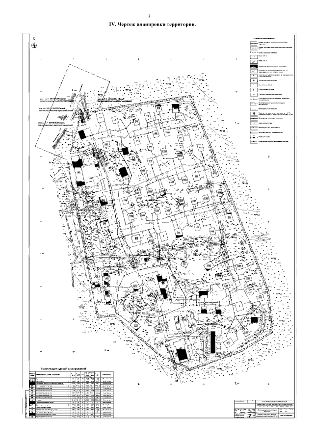
Приказ Министерства градостроительной деятельности и развития агломераций Нижегородской области от 06.10.2021 № 07-02-03/80
"Об утверждении документации по планировке территории ООО "Лесное" в курортном поселке Зеленый город города Нижнего Новгорода"
(Зарегистрирован 25.10.2021 № 17971-330-007-02-03/80)
Номер опубликования: 5201202110270003
Дата опубликования: 27.10.2021
Страница №9 из 10:
Увеличить