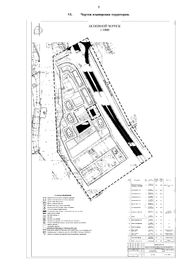
Приказ Министерства градостроительной деятельности и развития агломераций Нижегородской области от 11.08.2021 № 07-02-03/58 "Об утверждении проекта планировки территории в границах улиц Кузбасская, Пурехская, Череповецкая, Электровозная и проекта межевания территории по улице Кузбасская в Канавинском районе города Нижнего Новгорода"
(Зарегистрирован 03.09.2021 № 17761-330-007-02-03/58)
(Зарегистрирован 03.09.2021 № 17761-330-007-02-03/58)
Номер опубликования: 5201202109080010
Дата опубликования:
08.09.2021
