Официальное опубликование правовых актов
ОФИЦИАЛЬНОЕ ОПУБЛИКОВАНИЕ
Приказ Министерства градостроительной деятельности и развития агломераций Нижегородской области от 18.05.2021 № 07-02-03/26
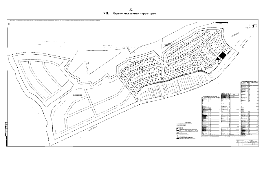
"Об утверждении документации по планировке территории (проекта планировки территории, включая проект межевания территории), расположенной по адресу: Нижегородская область, р-н Кстовский, ФГУП "Центральное" Россельхозакадемии (земельный участок с кадастровым номером 52:26:0020033:8)"
(Зарегистрирован 09.06.2021 № 17323-330-007-02-03/26)
Номер опубликования: 5201202106110001
Дата опубликования: 11.06.2021
Страница №40 из 41:
Увеличить