Официальное опубликование правовых актов
ОФИЦИАЛЬНОЕ ОПУБЛИКОВАНИЕ
Приказ Министерства градостроительной деятельности и развития агломераций Нижегородской области от 13.05.2021 № 07-02-03/24
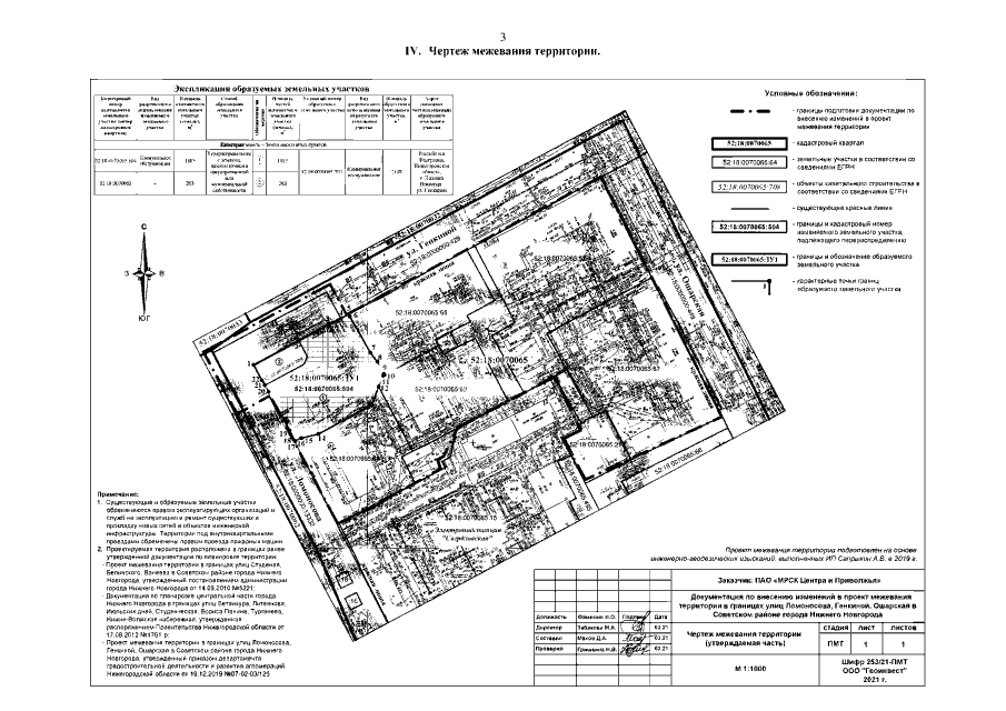
"Об утверждении документации по внесению изменений в проект межевания территории в границах улиц Ломоносова, Генкиной, Ошарская в Советском районе города Нижнего Новгорода"
(Зарегистрирован 01.06.2021 № 17286-330-007-02-03/24)
Номер опубликования: 5201202106020013
Дата опубликования: 02.06.2021
Страница №5 из 5:
Увеличить