Официальное опубликование правовых актов
ОФИЦИАЛЬНОЕ ОПУБЛИКОВАНИЕ
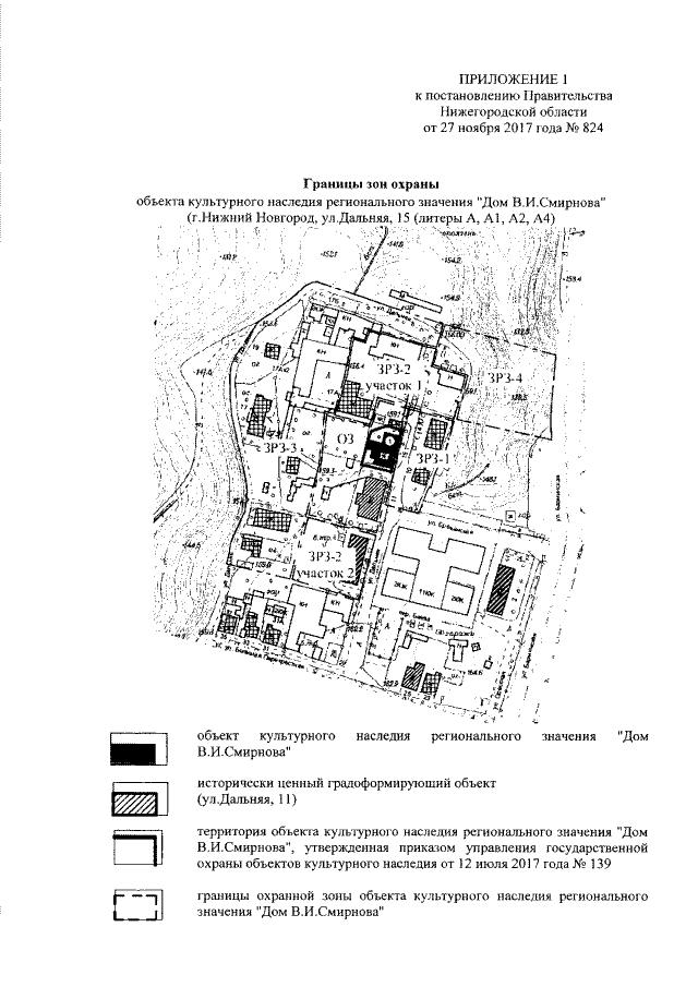
Постановление Правительства Нижегородской области от 27.11.2017 № 824
"Об утверждении границ зон охраны объекта культурного наследия регионального значения "Дом В.И. Смирнова" в г. Нижнем Новгороде, особых режимов использования земель и требований к градостроительным регламентам в утвержденных границах"
Номер опубликования: 5200201711280007
Дата опубликования: 28.11.2017
Страница №3 из 18:
Увеличить