Официальное опубликование правовых актов
ОФИЦИАЛЬНОЕ ОПУБЛИКОВАНИЕ
Постановление Правительства Нижегородской области от 04.07.2017 № 480
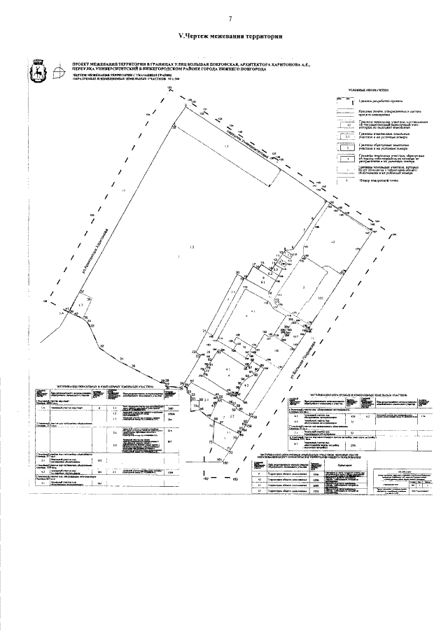
"Об утверждении документации по планировке территории (проект планировки территории, включая проект межевания территории) в границах улиц Большая Покровская, архитектора Харитонова А.Е., переулок Университетский в Нижегородском районе города Нижнего Новгорода в целях строительства инфраструктуры средств размещения в рамках подготовки к проведению в 2018 году в Российской Федерации чемпионата мира по футболу"
Номер опубликования: 5200201707060002
Дата опубликования: 06.07.2017
Страница №9 из 10:
Увеличить