Официальное опубликование правовых актов
ОФИЦИАЛЬНОЕ ОПУБЛИКОВАНИЕ
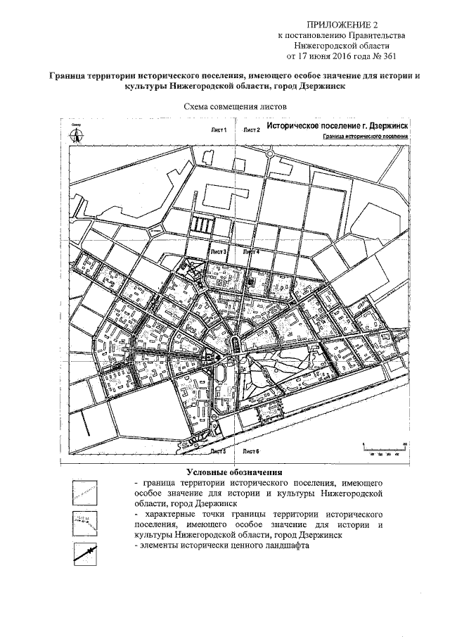
Постановление Правительства Нижегородской области от 17.06.2016 № 361
"О включении города Дзержинска в Перечень исторических поселений, имеющих особое значение для истории и культуры Нижегородской области, утверждении предмета охраны, границы территории данного исторического поселения, требований к градостроительным регламентам в утвержденных границах"
Номер опубликования: 5200201606210005
Дата опубликования: 21.06.2016
Страница №10 из 23:
Увеличить