Официальное опубликование правовых актов
ОФИЦИАЛЬНОЕ ОПУБЛИКОВАНИЕ
Распоряжение Комитета по культуре и искусству Мурманской области от 11.10.2019 № 91
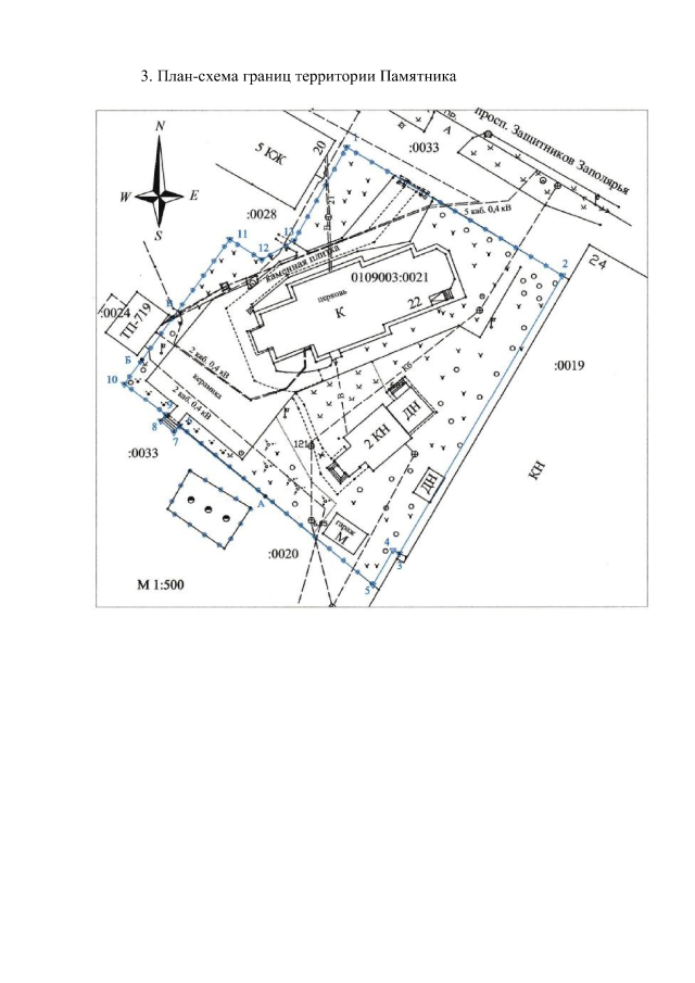
"Об утверждении границ территории и режима использования территории объекта культурного наследия регионального значения "Благовещенский собор-первое каменное здание на Кольском полуострове", расположенного по адресу: Мурманская область, Кольский район, город Кола, проспект Защитников Заполярья, дом 22"
Номер опубликования: 5101201910140002
Дата опубликования: 14.10.2019
Страница №3 из 4:
Увеличить