Официальное опубликование правовых актов
ОФИЦИАЛЬНОЕ ОПУБЛИКОВАНИЕ
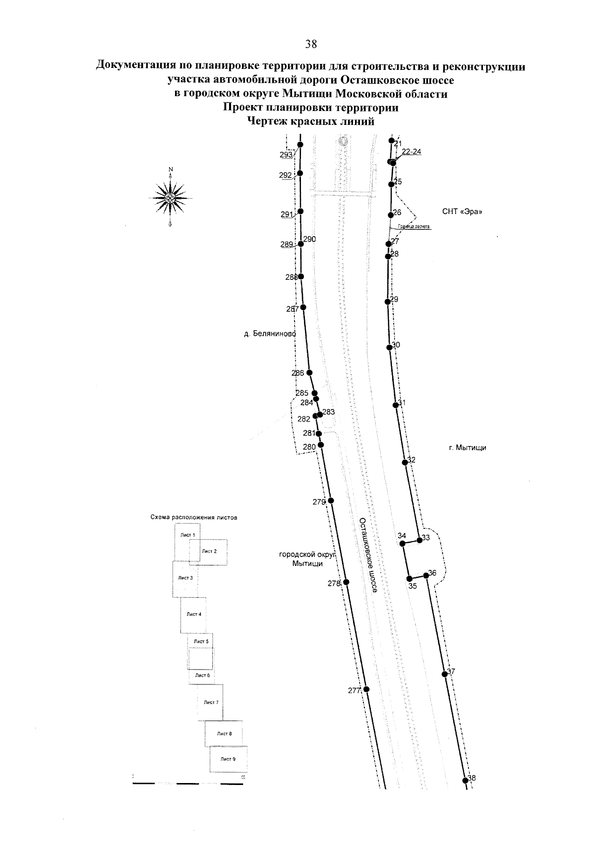
Постановление Правительства Московской области от 07.03.2025 № 212-ПП
"Об утверждении документации по планировке территории для строительства и реконструкции участка автомобильной дороги Осташковское шоссе в городском округе Мытищи Московской области"
Номер опубликования: 5000202503110004
Дата опубликования: 11.03.2025
Страница №40 из 78:
Увеличить