Официальное опубликование правовых актов
ОФИЦИАЛЬНОЕ ОПУБЛИКОВАНИЕ
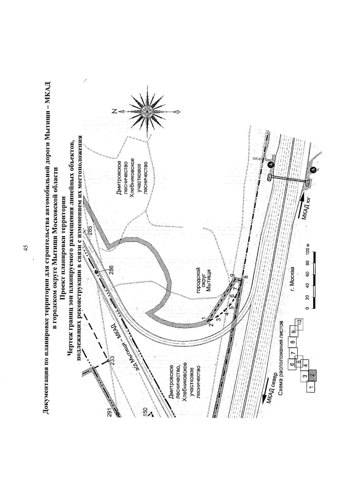
Постановление Правительства Московской области от 22.11.2023 № 1109-ПП
"Об утверждении документации по планировке территории для строительства автомобильной дороги Мытищи — МКАД в городском округе Мытищи Московской области"
Номер опубликования: 5000202311230004
Дата опубликования: 23.11.2023
Страница №47 из 79:
Увеличить