Официальное опубликование правовых актов
ОФИЦИАЛЬНОЕ ОПУБЛИКОВАНИЕ
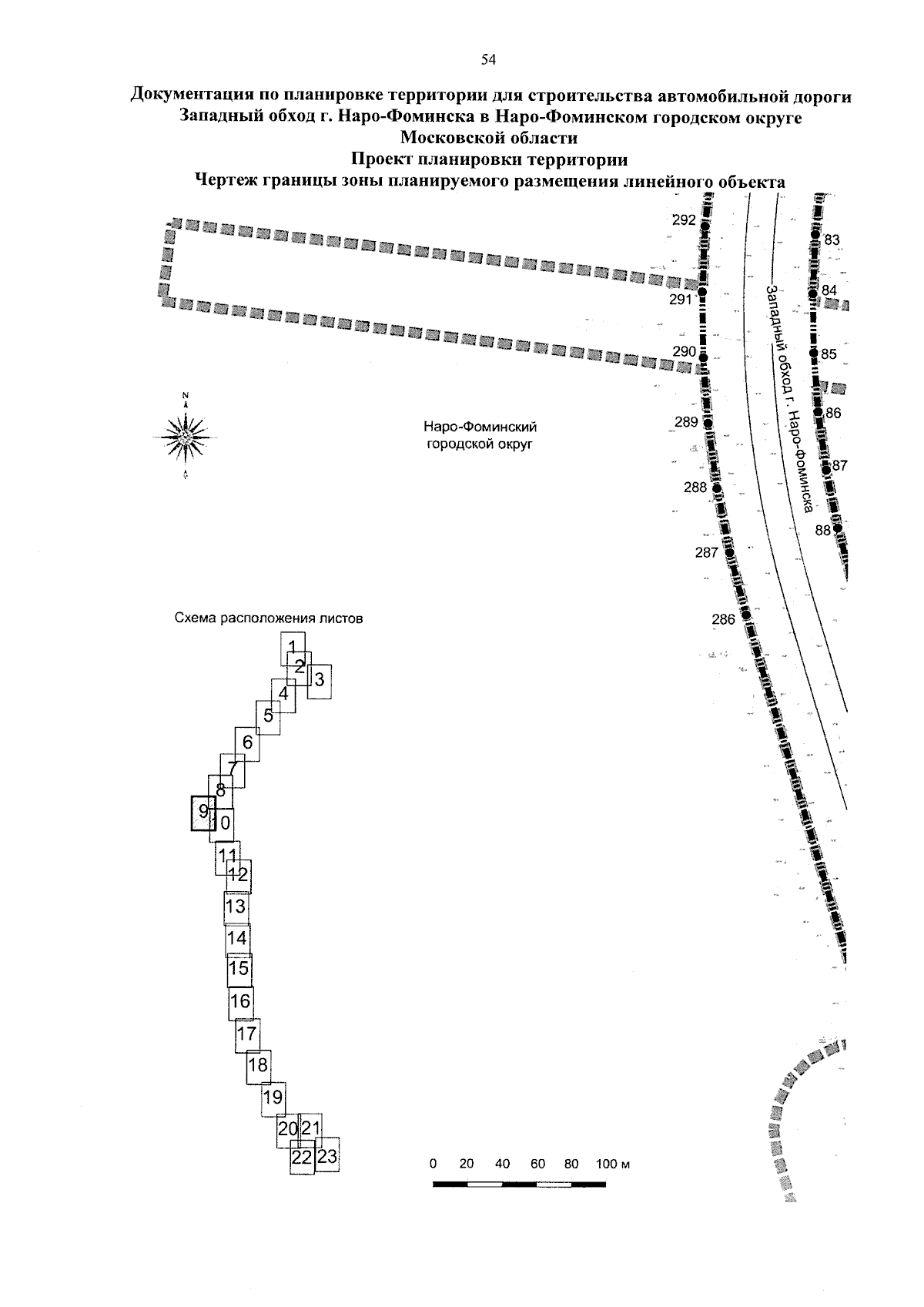
Постановление Правительства Московской области от 06.09.2023 № 709-ПП
"Об утверждении документации по планировке территории для строительства автомобильной дороги Западный обход г. Наро-Фоминска в Наро-Фоминском городском округе Московской области"
Номер опубликования: 5000202309070002
Дата опубликования: 07.09.2023
Страница №56 из 145:
Увеличить