Официальное опубликование правовых актов
ОФИЦИАЛЬНОЕ ОПУБЛИКОВАНИЕ
Постановление Правительства Московской области от 10.08.2022 № 836/27
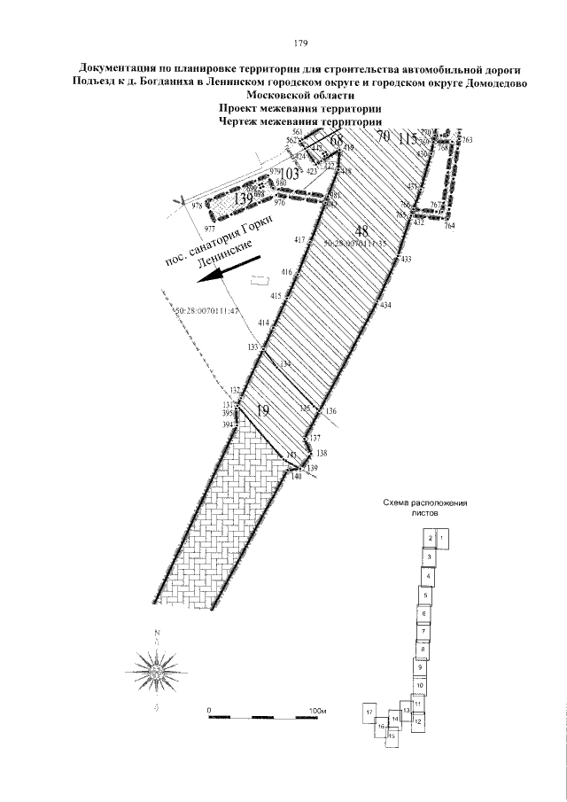
"Об утверждении документации по планировке территории для строительства автомобильной дороги Подъезд к д. Богданиха в Ленинском городском округе и городском округе Домодедово Московской области"
Номер опубликования: 5000202208110003
Дата опубликования: 11.08.2022
Страница №181 из 194:
Увеличить