Официальное опубликование правовых актов
ОФИЦИАЛЬНОЕ ОПУБЛИКОВАНИЕ
Постановление Правительства Московской области от 19.11.2021 № 1185/39
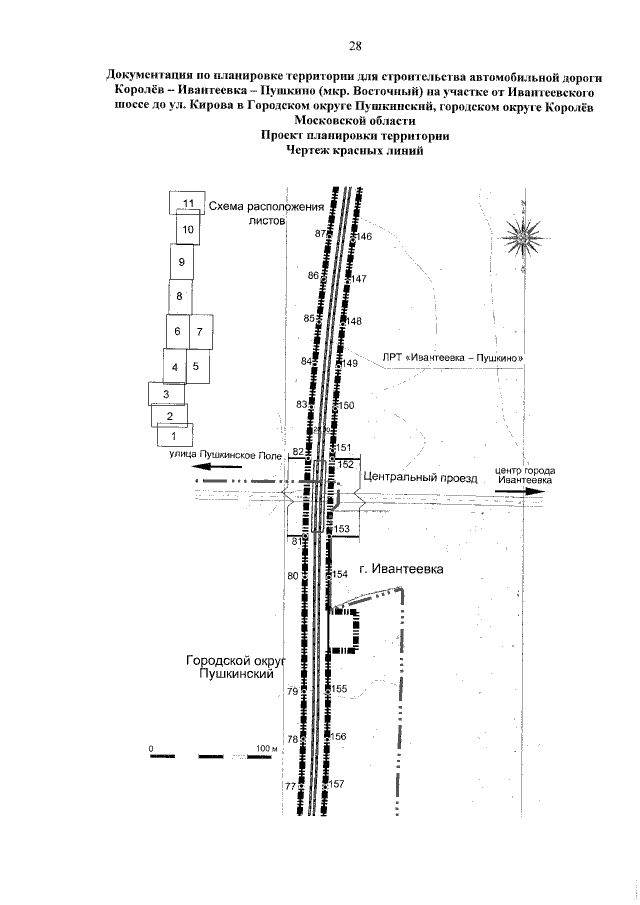
"Об утверждении документации по планировке территории для строительства автомобильной дороги Королёв – Ивантеевка – Пушкино (мкр. Восточный) на участке от Ивантеевского шоссе до улицы Кирова в Городском округе Пушкинский, городском округе Королёв Московской области"
Номер опубликования: 5000202111240004
Дата опубликования: 24.11.2021
Страница №30 из 62:
Увеличить