Постановление Правительства Московской области от 16.11.2021 № 1148/37
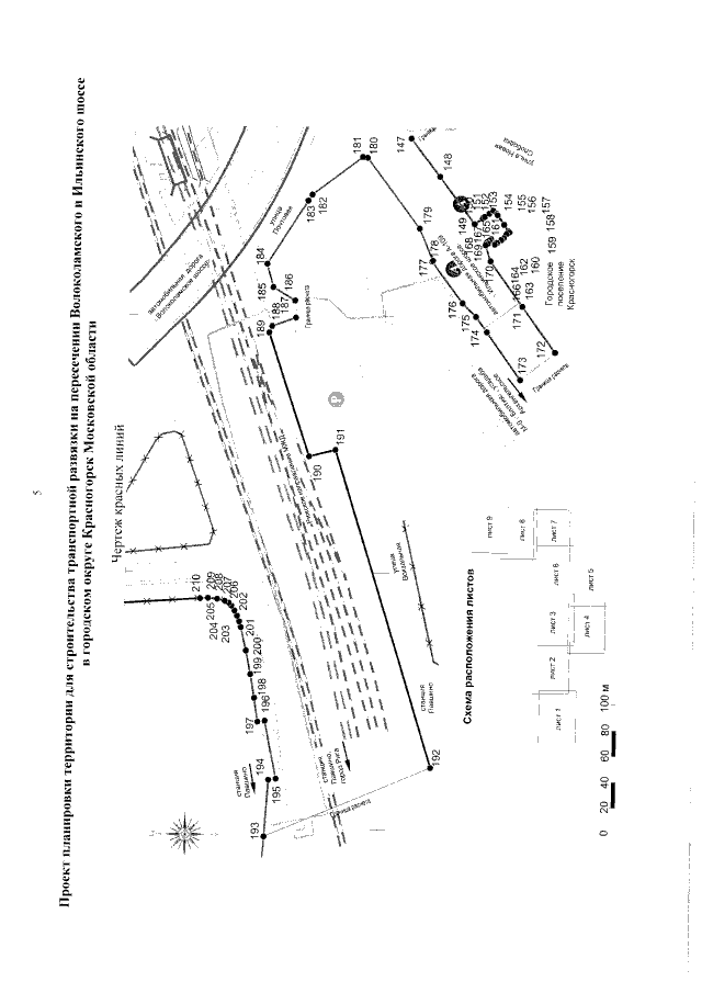
"Об утверждении изменений в проект планировки территории для строительства транспортной развязки на пересечении Волоколамского и Ильинского шоссе в городском округе Красногорск Московской области"
"Об утверждении изменений в проект планировки территории для строительства транспортной развязки на пересечении Волоколамского и Ильинского шоссе в городском округе Красногорск Московской области"
Номер опубликования: 5000202111170004
Дата опубликования:
17.11.2021
