Официальное опубликование правовых актов
ОФИЦИАЛЬНОЕ ОПУБЛИКОВАНИЕ
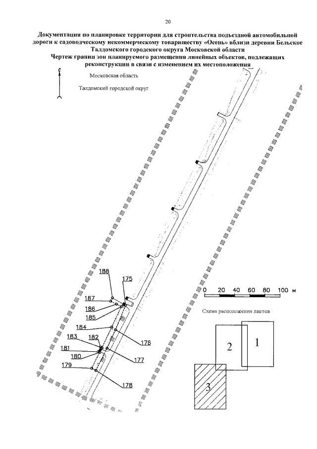
Постановление Правительства Московской области от 30.09.2021 № 958/33
"Об утверждении документации по планировке территории для строительства подъездной автомобильной дороги к садоводческому некоммерческому товариществу "Осень" вблизи деревни Бельское Талдомского городского округа Московской области"
Номер опубликования: 5000202110010001
Дата опубликования: 01.10.2021
Страница №22 из 35:
Увеличить