Официальное опубликование правовых актов
ОФИЦИАЛЬНОЕ ОПУБЛИКОВАНИЕ
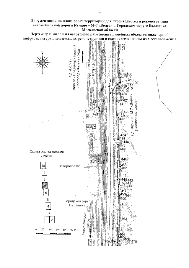
Постановление Правительства Московской области от 13.09.2021 № 831/29
"Об утверждении документации по планировке территории для строительства и реконструкции автомобильной дороги Кучино – М-7 "Волга" в Городском округе Балашиха Московской области"
Номер опубликования: 5000202109200002
Дата опубликования: 20.09.2021
Страница №72 из 247:
Увеличить